
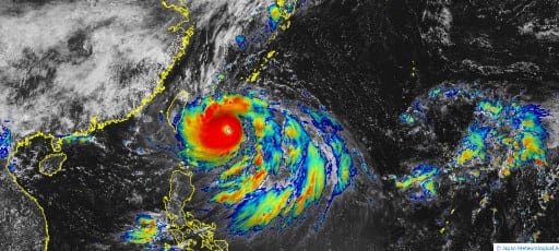
On Sunday (September 18), thousands of people were in shelters as the strong typhoon Nanmadol moved towards the area, prompting authorities to urge nearly three million people to evacuate.
No reports of damage or injuries have been reported so far in the region, an official in conversation with AFP said. He further stated that the rain and winds are getting stronger and the typhoon is expected to land in Kyushu by Sunday evening.
According to local authorities and transport utilities services, 25,680 homes in Kagoshima and neighbouring cities were already without electricity as of Sunday morning.
The southern Kyushu town of Kagoshima has received a special warning from the Japan Meteorological Agency (JMA), a situation sent once every few years. The weather agency stated high winds, storm surges, and torrential rain might pose a great danger to the area. It further warned locals to take maximum care.
Kagoshima officials reported that over 8,500 people are already housed in regional shelters.
Bullet train operations and flights have been halted in the region, along with regional railway lines.
According to the government's Fire and Disaster Management Agency, 2.9 million homes in Kyushu have received evacuation aid thus far.
A similar typhoon incident happened in 2019 and in 2018. Typhoon Hagibis 2019 smashed into the South Asian country, claimedlives of nearly 100 people, and injured several others, along with some infrastructural damage.
Typhoon Jebi caused Kansai airport in Osaka to close in 2018, killing 14 people. Floods and landslides during this year claimed the lives of over 200 people in the west region of the country during the country's rainy season.
Around 20 typhoons hit Japan annually, and the country is perpetually in typhoon season.
Scientists predict that climate change will become more intense and frequent with the increasing severity of storms, heat waves, and flash floods.
(With inputs from agencies)
WATCH WION LIVE HERE